+1 829 308 2611
info@tropicalexpert.com
Home
For Sale
Apartments
Villas
Lots
Offices
Beachfront
Residential
Albachiara
Alegria
Aligio
Atlandide 1
Balcones del Atlantico
Cap Bonita
Casa Pareiso
Clarissa
Coson Bay
Coson Beach
Curuba
Dolce Vita
Grandes Lomas
Hôtel Barbacoa
Infinity
Las palmas de los nidos
Loma Esperanza
Loma Maravilla
Loma Vicente
Los Coracoles
Madrugada
Malibu Residence
Playa Turchese
SEA VIEW
Stella di Mare
Terrazas del Atlantico
The green
Agents
Contact
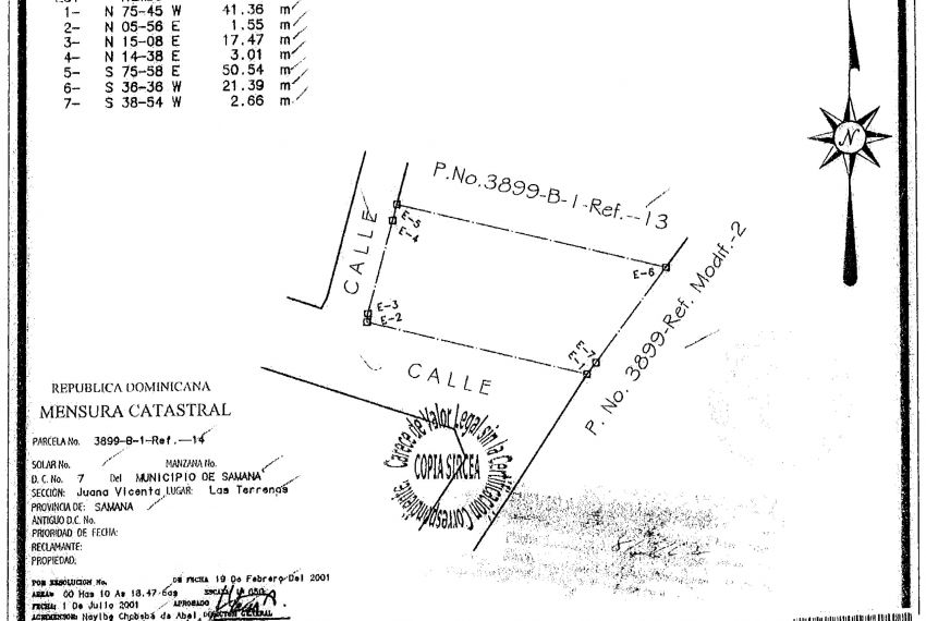
CAP BONITA
Bonita
$204,000
Sold
Bonita
Property Information
Land
1018 m
2
Type
Lot
Price
$204,000
Situation
Bonita
Description
Land No. 14.
This lot has its own connection to water and electricity.
Location
Video
Vincent Dougoud
+1 829 308 2611
Similar properties
Sold
CAP BONITA
$235,000
1173 m
2
For Sale
newSEAVIEW
$110,000
1572 m
2
For Sale
Las Palmas de los nidos
$159,900
2443 m
2